
Yさま(@ysb_freeman)です。
「千歳武道館前ショッピングセンター」が
2026年8月24日(月)オープンを
計画しています。
小売業を行う者は
イオン北海道株式会社
株式会社大創産業
株式会社エコノス。
小売業者以外の事業者は
飲食店(未定)。
いろいろ情報を収集してみました。
※「計画」なので変動する可能性はあります
よろしければ最後までお付き合い下さい。
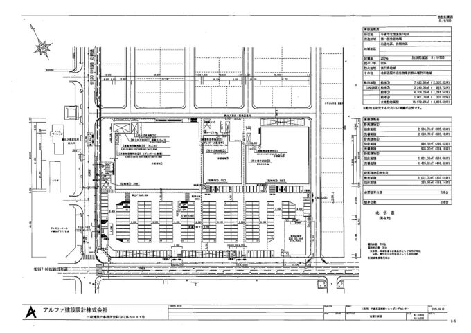
千歳武道館前ショッピングセンター
計画概要
※「計画」なので変動する可能性はあります
※特に新設日(=オープン日)は変動する可能性大です
店舗名:千歳武道館前ショッピングセンター
所在地:北海道千歳市北信濃590番1 ほか
新住所:北海道千歳市あずさ6丁目※番予定
店舗設置者:
イオン北海道株式会社
株式会社茎津綜業
小売業を行う者:
イオン北海道株式会社
株式会社大創産業
株式会社エコノス
※詳細は後述
店舗面積:4,492平方メートル
駐車場台数:228台
駐輪場台数:49台
営業時間:
開店時間 午前7時
閉店時間 午後9時45分
駐車場の自動車の出入口の数:
出入口4箇所
新設日:2026年(令和8年)8月24日
小売業を行う者
詳細
イオン北海道株式会社
店舗面積:2,099.767平方メートル
主たる販売品目:食料品全般
開店時間:午前7時00分
閉店時間:午後9時45分
株式会社大創産業
店舗面積:906.300平方メートル
主たる販売品目:日用品雑貨
開店時間:午前7時00分
閉店時間:午後9時45分
株式会社エコノス
店舗面積:1,485.809平方メートル
主たる販売品目:電気器具、楽器等
開店時間:午前7時00分
閉店時間:午後9時45分
小売業者以外の事業者
未定
事業面積:383.940平方メートル
主たる事業内容:飲食店
開店時間:未定
閉店時間:未定
駐車場台数:施設来客と概ね一致
千歳武道館前ショッピングセンター
施設配置図

千歳武道館前ショッピングセンター
場所と交通アクセス
北新通沿い。
「あずさ5」
「あずさ1」
「あずさ2」
交差点至近。
「千歳市開基記念総合武道館」
北隣の区画。
最寄駅は
JR千歳線
千歳駅で
距離約2.3キロ
徒歩28~29分くらい。
JR千歳線
長都駅からなら
距離約2.7キロ
徒歩約33~34分くらい。
バスならば、、、
北海道中央バス
「総合武道館前」
バス停留所が近い感じ。

