
Yさま(@ysb_freeman)です。
「(仮称)常陸太田市プロジェクト」が
2026年8月17日(月)オープンを
計画しています。
いろいろ情報を収集してみました。
※「計画」なので変動する可能性はあります
よろしければ最後までお付き合い下さい。
(仮称)常陸太田市プロジェクト
計画概要
※「計画」なので変動する可能性はあります
※特に新設日(=オープン日)は変動する可能性大です
店舗名:(仮称)常陸太田市プロジェクト
所在地:茨城県常陸太田市東部土地区画整理事業3-1街区37画地 外
店舗設置者:大和リース株式会社
小売業を行う者:未定
店舗面積:2,268平方メートル
駐車場台数:95台
平面駐車場、自走式
駐輪場台数:55台
店舗西側 40台
店舗東側 15台
※自動二輪車は駐車区画で兼用予定
営業時間:
開店時間 午前9時
閉店時間 翌午前0時
駐車場の自動車の出入口の数:
出入口数 4ヶ所
新設日:2026年(令和8年)8月17日
(仮称)常陸太田市プロジェクト
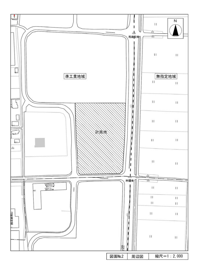
地図と交通アクセス
広域地図

周辺地図

車両経路図
入場経路、退場経路

配置図

立面図

交通アクセス
国道349号線
(太田南バイパス)沿い。
「栄町東」交差点至近。
「太田さくら認定こども園」
北東方向のナナメ向かい。
最寄駅は
JR水郡線
常陸太田駅で
距離約2.0キロ
徒歩25分くらい。
バスならば、、、
茨城交通
「馬場町」
バス停留所が近い感じ。
※この記事を書いている時点では全便運休中ですが2026年は復活しているはず※

